Najaktywniejszy podwodny wulkan szykuje się do wybuchu
Znajdujący się u wybrzeży Stanów Zjednoczonych podwodny wulkan szykuje się do erupcji. Czy Amerykę czeka armagedon i gigantyczna fala tsunami? Naukowcy mają pewność.

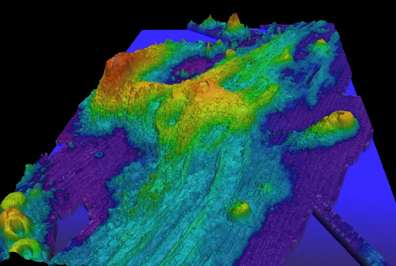
Wulkany najczęściej kojarzą nam się z wysokimi szczytami na powierzchni lądów. Jednak w głębiach oceanów także dochodzi do potężnych erupcji, niekiedy zupełnie niezauważalnych dla człowieka. Pod jednym z wulkanów na Pacyfiku Axial Seamount położonym 480 kilometrów od wybrzeża Stanów Zjednoczonych (a dokładnie stanu Oregon) gorąca magma wrze i bulgocze w najlepsze. To powoduje charakterystyczne rozdęcie skał, dzięki czemu badacze zwiastują jego niedługą erupcję. Prognozy wskazują, że może ona nastąpić jeszcze w tym roku.
Axial jest najaktywniejszym wulkanem na północno-wschodnim Pacyfiku, o czym niektórzy być może nie wiedzą, ponieważ jest ukryty pod oceanem.
Erupcja najaktywniejszego wulkanu. Czy będzie gigantyczne tsunami?
Naukowcy badają Axial Seamount od 1997 r., kiedy to po raz pierwszy zainstalowano urządzenia pomiarowe. Od tego czasu trzykrotnie zarejestrowano erupcje: w 1997 r., 2011 r., i 2015 r. Dzięki regularnej aktywności wulkan ten jest dla badaczy prawdziwym laboratorium, które pozwala rozpoznawać symptomy poprzedzające erupcje wulkaniczne. Poznali także jego budowę.
Tarcza wulkanu zbudowana jest ze stosunkowo cienkiej warstwy zastygłej lawy. To oznacza, że podczas erupcji (na całe szczęście) nie mamy szans na apokaliptyczne obrazy wybuchów i gigantycznego tsunami. Będzie ona znacznie spokojniejsza – skały na powierzchni po prostu pękną, pozwalając roztopionym skałom wypłynąć i utworzyć nową powierzchnię dna.
Skąd naukowcy wiedzą, że wulkan niedługo wybuchnie?
Wieloletnie obserwacje i regularne erupcje pozwoliły na wysnucie pierwszych wniosków. W ostatnim czasie zauważono, że liczba trzęsień ziemi w jego pobliżu wzrosła do kilkuset dziennie i tempo aktywności stale wzrasta od co najmniej 6 miesięcy. Ale taka sytuacja nie może trwać wiecznie.

Zauważalne przez przyrządy rozdęcie jest spowodowane wzrostem ciśnienia podnoszącej się ku górze magmy, co niejako wymusza także podnoszenie się skał. Jedno z ostatnich badań, którego wyniki opublikowano w czasopiśmie Nature Communications ujawniło wiele zbiorników magmy, znajdujących się poniżej wulkanu. Są one pod warstwami bazaltu i gabra – skał bogatych w magnez i żelazo. Źródło gorąca znajduje się jednak znacznie niżej i sięga kolejnej strefy Ziemi – górnego płaszcza. Dość czytelnie budowę wulkanu pokazuje poniższy schemat.

Jak utworzył się podwodny wulkan Axial?
U wschodniego wybrzeża Stanów Zjednoczonych znajduje się niewielka płyta tektoniczna Juan de Fuca. Od wschodu graniczy z kontynentalną płytą północnoamerykańską, wciskając się pod nią. Cały ten proces (o którym można by napisać osobny długi artykuł) skutkuje obecnością wulkanów na lądzie, takich jak np. stratowulkan Mt. Hood.
Od zachodu Juan de Fuca graniczy z oceaniczną płytą pacyficzną. W tym miejscu dwie płyty oddalają się od siebie, a przestrzeń jest wypełniana zastygającą lawą, która tworzy nowy ląd. To właśnie w tym miejscu znajduje się Axial Seamount, tak więc erupcje w najbliższych latach z pewnością będą regularnie obserwowane.


Źródło: ScienceAlert
Literatura: Yang, J., Zhu, H., Zhao, Z. et al., Asymmetric magma plumbing system beneath Axial Seamount based on full waveform inversion of seismic data. Nat. Commun. 15, 4767 (2024). https://doi.org/10.1038/s41467-024-49188-y








