Najaktywniejszy wulkan w tej części świata. Naukowcy prowadzą eksperyment
Od jakiegoś czas naukowcy informują o nadchodzącej erupcji Axial Seamount, najaktywniejszego podwodnego wulkanu w północno-wschodniej części Oceanu Spokojnego. Wulkan ten jest stale monitorowany dzięki zaawansowanej infrastrukturze badawczej, co umożliwia prowadzenie szeroko zakrojonych badań. Teraz zdecydowano się na kolejny ważny eksperyment.

Niezwykle aktywny wulkan podwodny szykuje się do wybuchu
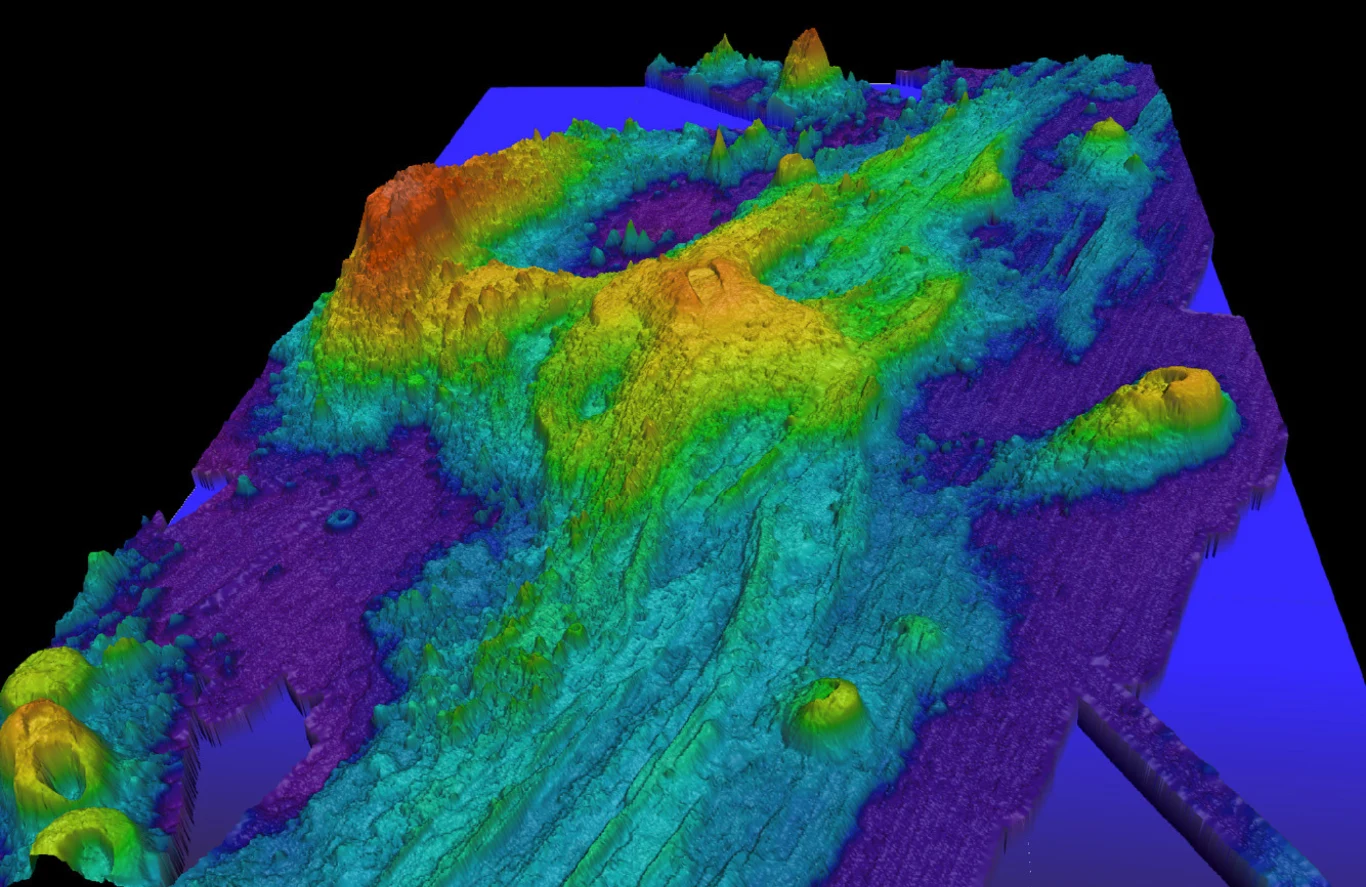
Podwodny wulkan Axial Seamount odkryty w 1981 r. leży na Oceanie Spokojnym, ok. 480 km od wybrzeży stanu Oregon w Stanach Zjednoczonych. Wznosząca się na wysokość 1100 m formacja wytworzyła się na szczycie grzbietu Juan de Fuca, rozdzielającego płyty tektoniczne Juan de Fuca i pacyficzną. Axial Seamount to jeden z najlepiej obserwowanych fragmentów dna oceanicznego na świecie. Rozbudowana sieć czujników, kamer i urządzeń połączona światłowodem z Newport w Oregonie, przekazuje dane na bieżąco. Dlaczego? To niezwykle aktywny twór - najaktywniejszy podwodny wulkan północno-wschodniego Pacyfiku.
Od dłuższego czasu Axial wykazuje przy tym wyraźne ożywienie - już pod koniec 2024 roku zaobserwowano, że jego komory magmowe "nadymają się", a w 2025 r. donoszono, że wzrosła liczba trzęsień ziemi. W związku z tym naukowcy są przekonani, że zapowiada to, iż zbliża się erupcja. Ostatnie wybuchy zanotowano w latach 1998, 2011 i 2015. Trwa odliczanie czasu do kolejnego wybuchu, co stwarza doskonałe warunki do przeprowadzenia kolejnego eksperymentu naukowego. Na czym on polega?
Axial Seamount i eksperyment badawczy. Prognozowanie erupcji
Pierwotnie zakładano, że kolejna erupcja Axial Seamount nastąpi w 2025 roku, jednak najnowsze analizy wskazują, że bardziej prawdopodobny jest wybuch w połowie lub pod koniec 2026 roku. Korekta terminu wynika głównie ze spowolnienia tempa ekspansji dna oceanicznego związanego z aktywnością wulkaniczną. Badacze podkreślają jednak, że obecne tempo i tak przewyższa to obserwowane przed erupcją z 2015 roku. To wszystko, wraz z faktem, że Axial jest na bieżąco monitorowany, wpłynęło na decyzję naukowców, by przeprowadzić eksperyment badawczy, dotyczący prognozowania erupcji wulkanów w czasie rzeczywistym - Axial Seamount Eruption Forecasting Experiment (EFE).
Obecnie naukowcy mają trudności z dokładnym prognozowaniem erupcji wulkanów, ponieważ nie ma powszechnie dostępnych wiarygodnych metod pomiarów w czasie rzeczywistym. To rodzi pewne błędy. Aby potencjalnie rozwiązać ten problem, grupa badaczy współpracujących z Geohazards Crisis Observatory ruszyła ze wspomnianym testem. Naukowcy będą co ok. miesiąc tworzyć prognozy dla Axial Seamount. Każda z prognoz będzie szyfrowana i archiwizowana, by uniknąć manipulacji. Po erupcji komplet danych prognostycznych zostanie ujawniony i porównany z rzeczywistością. Taki unikalny zestaw danych geofizycznych stworzy bezprecedensową okazję zbadania procesów poprzedzających erupcję oraz przetestowania modeli.
Badania podwodnego wulkanu. Zestaw unikalnych danych
Te analizy pomogą sprawdzić, czy da się opracować wiarygodny, fizycznie uzasadniony model prognozowania o szerokim zastosowaniu. Testowane są dwie teorie, podaje Phys.org. Jedna dotyczy przewidywania erupcji w czasie rzeczywistym, analizując pewne wzorce, a druga obejmuje szacowanie daty wybuchu na podstawie rachunku prawdopodobieństwa. Najważniejszą częścią eksperymentu jest przy tym próba eliminacji dotychczasowych błędów i stworzenie przejrzystego modelu badawczego.
Celem tego testu nie jest więc tylko dążenie do precyzyjnego wyliczenia kolejnej erupcji Axial Seamount, lecz stworzenie bardziej miarodajnych, opartych na fizyce metod prognozowania. Eksperyment ma także pomóc w budowaniu zaufania do naukowych prognoz i lepszego zrozumienia samego procesu badawczego. Ulepszone przewidywania erupcji mogłyby też w przyszłości poprawić przygotowanie społeczności przybrzeżnych i branży morskiej na potencjalne zagrożenia.
Informacje o Axial Seamount Eruption Forecasting Experiment opublikowane zostały w repozytorium arXiv.











