Australia
Wtorek, 21 listopada 2023 (14:46)
Aktualizacja Wtorek, 12 grudnia 2023 (15:35)
Australia jest najmniejszym kontynentem na Ziemi. Jednocześnie to największa wyspa na świecie oraz szósty pod względem wielkości kraj. Jej powierzchnia to około 7,7 mln km2. Stolicą tego państwa jest Canberra, a największym miastem Sydney. Najbardziej zaludnione jest wschodnie oraz południowo-wschodnie wybrzeże.

Australia - najważniejsze informacje
-
Elementy:
Australia to jeden z najbardziej płaskich kontynentów. Średnia wysokość to zaledwie 330 m n.p.m. Najwyższym szczytem jest Góra Kościuszki mierząca 2 228 m n.p.m. Została ona odkryta oraz zdobyta przez polskiego podróżnika Pawła Edmunda Strzeleckiego.
Australię zamieszkuje około 25,7 mln osób, jednak gęstość zaludnienia to tylko 3 osoby na km2. Ogromna część kontynentu nazywana Outbackiem jest praktycznie niezamieszkała. Ponad 80% mieszkańców tego kraju żyje w odległości około 100 km od wybrzeża, gdyż w tych obszarach panują najlepsze warunki bytowe. Rdzennymi mieszkańcami Australii są Aborygeni.
Bogata flora i fauna Australii
Kontynent ten jest domem dla wielu gatunków zwierząt, w tym także tych najbardziej jadowitych. Spośród 26 najgroźniejszych węży aż 17 z nich występuje właśnie w tym kraju. W Australii żyje największa na świecie populacja dzikich wielbłądów, których jest około 1 000 000. Zostały one sprowadzone do tego kraju, aby zastąpić konie, które nie radziły sobie w trudnych warunkach.
Największym zagrożeniem, oprócz wspomnianych węży, są także jadowite pająki, skorpiony, kazuary oraz krokodyle. Z kolei w wodach przybrzeżnych można spotkać meduzy oraz rekiny. Jednym z najbardziej charakterystycznych zwierząt tego obszaru są kagury. Mimo że są to z pozoru sympatyczne stworzenia, to są one jednym z największych zagrożeń, zwłaszcza dla kierowców. Ich ubarwienie sprawia, że są praktycznie niewidoczne po zmroku, gdy nagle wyskakują na drogi.
Wzdłuż północno-wschodniego wybrzeża Australii rozciąga się Wielka Rafa Koralowa – największa na świecie. Jej powierzchnia przekracza 348 tys. km2 i można ją zobaczyć nawet z kosmosu.
Australia to raj dla miłośników wina. Na jej terenie znajduje się ponad 60 regionów, w których uprawiane są winogrona przeznaczone na ten właśnie trunek. Wina australijskie są cenione i uznawane za jedne z najlepszych na świecie.
Do tego kontynentu należy aż 8 222 wysp. Największą z nich jest Tasmania, która jest także osobnym stanem. Jednym z najbardziej znanych archipelagów australijskich są Wyspy Whitsundays doceniane przede wszystkim przez pasjonatów sportów wodnych.
Temat Australia znajdziesz również w serwisie:
Więcej na temat Australia
Australia - Wiadomości
-
Tajemnicze kosmiczne szkło odkryte w Australii. Ślad po wielkiej katastrofie
Piątek, 26 września (10:53)Naukowcy odkryli nieznany wcześniej typ tektytów, które nazwali ananguitami. Te niezwykłe bryłki kosmicznego szkła, znajdowane na dużym obszarze Australii, miały powstać w wyniku... -
Wielka inwestycja Australii. Stawiają na atomowe okręty podwodne
Niedziela, 14 września (10:27)Australia zainwestuje 12 mld dolarów australijskich w modernizację stoczni Henderson w ramach paktu AUKUS. Projekt umożliwi obsługę okrętów podwodnych o napędzie jądrowym oraz budowę... -
To najbardziej śmiercionośne zwierzę Australii. W życiu nie zgadniecie
Czwartek, 21 sierpnia (13:34)Chociaż Australia jest domem dla trzech najbardziej jadowitych węży świata (a kilka innych łapie się do pierwszej dziesiątki), jednego z najbardziej jadowitych pająków, czyli niesławnego... -
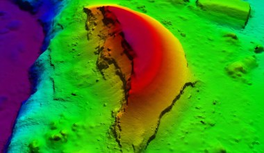
Najstarszy krater uderzeniowy na Ziemi. Ustalono nowe szczegóły
Piątek, 8 sierpnia (14:35)Najstarszy krater uderzeniowy na Ziemi został odkryty wcześniej w tym roku. Początkowo jego wiek oszacowano na około 3,5 mld lat, a więc miał powstać w czasie, gdy nasza planeta była... -
Powierzyli AI zarządzanie drogą. Liczba wypadków spadła
Piątek, 8 sierpnia (08:40)W Australii powstała specjalna droga, która dzięki sztucznej inteligencji zapobiega kolizjom zwierząt z pojazdami. W pilotażowym teście trwającym pięć miesięcy system osiągał skuteczność... -
Przyleciał do Polski, aby chronić NATO. Oto australijski E-7A Wedgetail
Czwartek, 31 lipca (08:42)Jak pokazują dane na stronach Flightradar24 czy ADS-B, do Polski przyleciał australijski samolot szpiegowski E-7A Wedgetail. Maszyna po raz pierwszy znalazła się w naszym kraju i pomoże... -
Pierwsza rakieta orbitalna wystrzelona w Australii. Skończyło się eksplozją
Środa, 30 lipca (15:10)Eris to pierwsza rakieta orbitalna, która została wystrzelona z australijskiej ziemi. Przełomowe przedsięwzięcie nie zakończyło się pełnym sukcesem i konstrukcja firmy Gilmour Space po... -
Potężne wsparcie już w Ukrainie. To dziesiątki Abramsów
Sobota, 19 lipca (15:48)Większość obiecanych przez Australię czołgów M1A1 Abrams dotarła już na Ukrainę - donosi australijskie ministerstwo obrony. Czołgi trafiły za naszą granicę z dziewięciomiesięcznym...